¥1,700,000円 土地 159 m2

  • 関東信越国税局
  • 入札 2025年01月14日(火)~
  • 188 views
  • 入札期間 2025年01月14日(火)~2025年01月21日(火)

期間入札

管轄裁判所
売却基準価額
1,700,000 円

物件概要

所在地
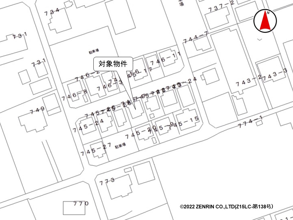
群馬県館林市近藤町745番地7
種類
土地
延床面積
-
土地面積 (合計)
-
用途地域
売却区分番号
1792-1

個別詳細


財産番号
1
種別
土地
所在地(登記簿表示内容)
群馬県館林市近藤町字開拓745番7
地目(登記簿表示内容)
宅地
面積(登記簿表示内容)
159.16平方メートル
地盤・地勢
平坦
接道状況
北側 幅員約5.9メートル 舗装市道 等高接面
使用状況
対象物件1
対象物件2の敷地として使用されています。
物件所有者の物置が設置されています。
対象物件2
昭和58年頃建築。
物件所有者が居住しています。

財産番号
2
種類(登記簿表示内容)
居宅
所在地(登記簿表示内容)
群馬県館林市近藤町字開拓 745番地7
家屋番号(登記簿表示内容)
745番7
構造(登記簿表示内容)
木造瓦葺2階建
床面積(登記簿表示内容)
1階52.99平方メートル
2階28.15平方メートル
間取り
3LDK
駐車場

共通詳細

公法上の規制
市街化調整区域
建ぺい率 70% 容積率 200%
群馬県景観条例
館林市ハザードマップ(利根川洪水想定浸水深0.5から3.0メートル未満)
特記事項
開発許可及び既存宅地確認を取得しています。
その他事項
公売財産の売却決定は、最高価申込者に係る入札価額をもって行います。
一括換価について
対象物件は、国税徴収法第89条第3項の規定に基づき一括換価の方法により公売を行います。
なお、見積価額の内訳は以下のとおりです。
対象物件1(土地) 1,190,000円
対象物件2(建物) 510,000円
留意事項
公売は現況有姿により行うものであるため、次の一般的事項を十分ご理解の上、公売へご参加ください。
1 公売財産の面積等は公簿上によるものです。あらかじめその現況及び関係公簿等を確認してください。
2 公売財産の種類又は品質に関する不適合があっても、執行機関(国)は、担保責任等を負いません。
3 執行機関(国)は、公売財産の引渡しの義務を負わないため、使用者又は占有者に対して明渡しを求める場合や不動産内にある動産の処理などはすべて買受人の責任において行うことになります。
4 土地の境界については隣接地所有者と、接面道路(私道)の利用については道路所有者とそれぞれ協議してください。
5 土壌汚染やアスベストなどに関する専門的な調査は行っておりません。